Stormwater Management Facility Improvements
What is a stormwater management facility?
Stormwater management facilities include wet ponds, dry ponds, wetlands, underground storage chambers and other stormwater infrastructure implemented to drain stormwater runoff.
Why are they needed?
A stormwater management facility reduces volume, flow rates and pollutants from stormwater runoff.
The City of Vaughan is committed to keeping these ponds functioning through the Stormwater Management Facility Improvements Program. Currently, infrastructure improvements are underway at various stormwater pond locations across the city.
PHASE 3
The following stormwater ponds will be improved in 2024 and 2025 (timelines are subject to change) through the Stormwater Management Facility Improvements Program. The projects noted below are partially funded by the federal government’s Disaster Mitigation and Adaptation Fund.
A Public Information Session was held on July 27, 2023. To learn more about the future improvements on the five stormwater management facilities within Rainbow Creek Park (5450 Highway 7) please click here.
Rainbow Creek Park Ponds | Sites 13, 18, 20, 22 & 25
The City of Vaughan is undertaking important municipal infrastructure improvements to various stormwater management facility and outfall locations. Stormwater management facilities are designed and built to collect rainfall and surface water runoff.
As part of the 2022 Capital Works Program, the City is planning improvements to Site 13, Toronto Region and Conservation Authority (TRCA) Outfall 32, near Woodbridge Avenue and Martin Grove Road, Site 18, TRCA Outfall 35, near Houston Road; Site 20, TRCA Outfall 37, near Highway 7; Site 22, TRCA Outfall 36, near Houston Road; and Site 25, TRCA Outfall 28, near Brasswinds Court in Mapes Park. These enhancements support the City’s continued commitment to ensuring long-term sustainability of municipal infrastructure.
Construction for sites 18, 20 & 22 resumed April 28th, 2025 (weather permitting). Construction for Sites 13 and 25 are anticipated to commence in late 2025.
FOUR VALLEY DRIVE POND | SITE 23
The City of Vaughan is improving stormwater management infrastructure at Site 23, located between Highway 400 and Four Valley Drive.
Work will include removing sediment from the stormwater management pond and upgrading maintenance access locations.
LOCATION MAP
PHASE 2
Construction for all four stormwater ponds are complete.
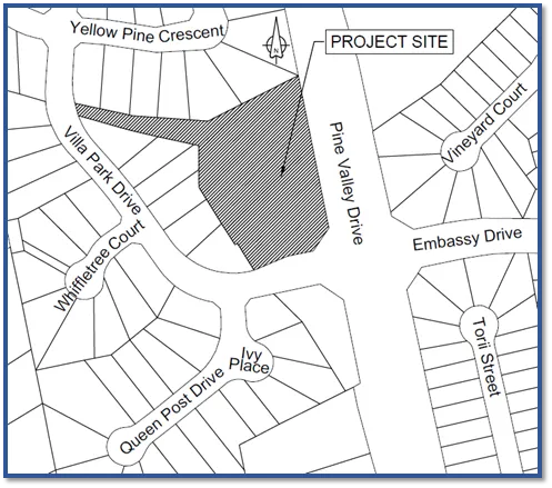
Villa Park Pond
Villa Park Pond is a dry pond facility located at the northwest corner of Villa Park Drive and Pine Valley Drive. The pond receives stormwater from two inlets – one located at the north end and the second at the northeast corner of the pond. Water is discharged to an existing outlet culvert that crosses the south end of Villa Park Drive. The following work is proposed:
- Pond excavation to convert the facility into a wet pond and include a permanent pool.
- Realignment of existing inlet channel so it is separated from the pool.
- Installation of access roads for maintenance purposes.
- Modifications to existing outlet, including adding a low-flow structure, to increase flood control performance.
- Installation of stone inlet spillways, retaining walls and shield structures to improve sediment retention.
- Further vegetation management and landscaping features.

Accumen Investments Pond | Site 5
Accumen Investments Pond is a dry pond facility located east of Kaiser Drive and north of the Partridge Crescent cul-de-sac. The facility provides flood control for the contributing catchment area. The following work is proposed:
- Pond excavation to convert the facility into a wet pond and include a permanent pool.
- Installation of access roads for maintenance purposes.
- Modifications to existing outlet culvert, including adding a low-flow structure and channel, to increase water quality and flood-control performance.
- Installation of stone inlet spillways and retaining walls.
- Further vegetation management and landscaping features.

Harmonia Pond | Site 8
Harmonia Pond is a dry pond facility located southeast of Harmonia Crescent and northeast of Dunstan Crescent. The facility provides flood control for the contributing catchment area. The following work is proposed:
- Pond excavation to convert the facility into a wetland and include a shallow, permanent pool.
- Realignment of existing inlet storm sewer and sanitary sewer line.
- Installation of access roads for maintenance purposes.
- Installation of a low-flow outlet structure to improve flood control performance.
- Installation of stone inlet spillways, retaining walls and shield structures to improve sediment retention.
- Further vegetation management and landscaping features.

Saddle Tree Crescent Outfall | Site 12
Saddle Tree Crescent Outfall is situated to the northeast of Saddle Tree Crescent and St. Ives Court. The area is a park with open space adjacent to Robinson Creek. The existing outfall structure discharges directly to the creek without any control. The following work is taking place:
- Construction of a wetland area within the park to provide water quality benefits to stormwater prior to discharge into Robinson Creek.
- Installation of access roads for maintenance purposes.
- Installation of a flow splitter to redirect water quality flows towards the wetland.
- Installation of a wetland inlet, inlet spillway, outlet structures and outlet channel.
- Further vegetation management and landscaping features.

Additional Resources
- Notice of Completion (PDF)
- Project Report for Public Review (PDF)
- Accumen Pond, Harmonia Pond, Saddle Tree Crescent Outfall - Newsletter 2 - Sept. 2022 (PDF)
PHASE 1 SITES:
- Notice - March 2022 (PDF)
- PIC 2 Presentation - Mar. 31 2022 (PDF)
- PIC 2 Comment Sheet - Mar. 31 2022 (PDF)
Asbridge Circle Pond
Blackburn Pond
Fieldstone Pond
Franklin Pond
Gallanough Park & Area
PHASE 2 SITES:
Oil and Grit Separator Installations
Ward 1
- Newsletter 3 - Area 9&11 - August 2023 (PDF)
- Newsletter 3 - Area 21 - August 2023 (PDF)
- Newsletter 2 - Area 9 - July 2023 (PDF)
- Newsletter 2 - Area 11 - July 2023 (PDF)
- Newsletter 2 - Area 21 - July 2023 (PDF)
Ward 2
Ward 5
Atkinson Centre Pond
TRCA Ponds, Outlets and Outfalls
- TRCA Pond 1 - Newsletter 1 - July 2021 (PDF)
- TRCA Pond 13 - Newsletter 1 - July 2021 (PDF)
- TRCA Outfalls 14, 15, 41 - Newsletter 1 - July 2021 (PDF)
- TRCA Outlet 27 - Newsletter 1 - July 2021 (PDF)
- Accumen Pond, Harmonia Pond, Saddle Tree Crescent Outfall - Newsletter 1 - July 2021 (PDF)
- Accumen Pond, Harmonia Pond, Saddle Tree Crescent Outfall - Newsletter 2 - Sept. 2022 (PDF)
- Accumen Pond, Saddle Tree Crescent Outfall - Newsletter 3 - Nov. 2022 (PDF)
- Newsletter 3 - Harmonia Pond - Dec. 2022 (PDF)
Villa Park Pond
Project Report for Public Review (PDF)
Public review period: May 5 to June 18, 2022
- Notice - March 2022 (PDF)
- Newsletter - July 2021 (PDF)
- PIC 1 Presentation - Mar. 30 2022 (PDF)
- PIC 1 Comment Sheet - Mar. 30 2022 (PDF)
- Notice of Completion - May 2022 (PDF)
- Newsletter 2 - Sept. 2022 (PDF)
- Newsletter 3 - Nov. 2022 (PDF)
PHASE 3 SITES:
TRCA Outfalls
- TRCA Outfalls 4/5 - Newsletter 1 - Aug. 2022 (PDF)
- TRCA Outfall 7 - Newsletter 1 - Aug. 2022 (PDF)
- TRCA Outfall 18.1 - Newsletter 1 - Aug. 2022 (PDF)
- TRCA Outfall 22 - Newsletter 1 - Aug. 2022 (PDF)
- TRCA Outfall 22 - Newsletter 2 - Sept. 2025 (PDF)
- TRCA Outfall 28 - Newsletter 1 - Aug. 2022 (PDF)
- TRCA Outfall 28 - Newsletter 2 - Sept.2025 (PDF)
- TRCA Outfall 32 - Newsletter 1 - Aug. 2022 (PDF)
- TRCA Outfall 32 - Newsletter 2 - Sept.2025 (PDF)
- TRCA Outfalls 35, 36, 37 - Newsletter 1 - Aug. 2022 (PDF)
- TRCA Outfalls 35, 36, 37 - Newsletter 2 - October 2024 (PDF)
- TRCA Outfalls 35, 36, 37 - Newsletter 3 - April 2025 (PDF)
- TRCA Outfall 40 - Newsletter 1 - Aug. 2022 (PDF)